Fibromyalgia (FM) is a chronic condition characterized by widespread pain, sleep disorder, fatigue, other somatic symptoms. Clinical pilates method is therapeutic modality that can be used in improving the symptoms. The aim of this study was to investigate the effectiveness of reformer pilates exercises in individuals with FM and to compare with home mat pilates.
Material and methodsTwenty-eight women (age mean=45.61±10.31) diagnosed with FM were included in this study. Participants were randomly divided into two groups as reformer pilates group (n=14) and home mat pilates group (n=14). Reformer and home mat pilates exercises were given 2 times a week for 6 weeks. The number of painful regions with Pain Location Inventory (PLI), clinical status with Fibromyalgia Impact Questionnaire (FIQ), lower extremity muscle strength with Chair Stand Test, functional mobility with The Timed Up and Go Test (TUG), biopsychosocial status with Cognitive Exercise Therapy Approach-Biopsychosocial Questionnaire (BETY-BQ) and quality of life with Short Form-36 (SF-36) were evaluated. All evaluations were assessed before and after treatment.
ResultsThere was a significant difference in FIQ and chair stand test in reformer pilates group, while in PLI, FIQ, BETY-BQ vs. SF-36 Physical Component in home group (p<0.05) compared with baseline. There were no statistical differences between the groups in terms of delta value (p>0.05).
ConclusionsReformer pilates exercises had positive effects on clinical status and muscle strength while home mat pilates exercises had positive effects on the number of painful regions, clinical status, biopsychosocial status and physical component quality of life.
Clinical trial registration number NCT04218630.
La fibromialgia (FM) es una condición crónica caracterizada por dolor generalizado, trastornos del sueño, fatiga y otros síntomas somáticos. El método de Pilates clínico es una modalidad terapéutica que se puede utilizar para mejorar los síntomas. El objetivo de este estudio fue investigar la efectividad de los ejercicios de Pilates con aparato (Reformer) y Pilates con colchoneta en casa, en personas con FM.
Material y métodosSe incluyeron 28 mujeres (edad media = 45,61 ± 10.31) diagnosticadas con FM. Las participantes se dividieron aleatoriamente en dos grupos: un grupo de Pilates con aparato (n = 14) y el otro grupo de Pilates con colchoneta casa (n = 14), 2 veces a la semana durante 6 semanas. Se evaluaron el número de regiones dolorosas con Pain Location Inventory (PLI), el estado clínico con Fibromyalgia Impact Questionnaire (FIQ), la fuerza muscular de las extremidades inferiores con la prueba de sentarse y levantarse de una silla, la movilidad funcional con The Timed Up and Go Test (TUG), el estado biopsicosocial con el Cognitive Exercise Therapy Approach-Biopsychosocial Questionnaire (BETY-BQ) y la calidad de vida con el cuestionario Corto-36 (SF-36). Las evaluaciones se realizaron antes y después de la intervención.
ResultadosSe observaron diferencias significativas en el FIQ y en la prueba de sentarse y levantarse de una silla en el grupo de Pilates con Reformer; a diferencia del grupo de Pilates con colchoneta en casa, las diferencias fueron en las mediciones del PLI, FIQ, BETY-BQ y el componente físico del SF-36 (p < 0,05) comparados con la evaluación basal. No hubo diferencias significativas en valor delta entre los grupos (p > 0,05).
ConclusionesLos ejercicios de Pilates con Reformer tuvieron efectos positivos en el estado clínico y la fuerza muscular, mientras que los ejercicios de Pilates con colchoneta en casa tuvieron efectos positivos en el número de regiones dolorosas, el estado clínico, el estado biopsicosocial y en el componente físico de la calidad de vida.
Número de registro del ensayo clínico NCT04218630.
Fibromyalgia (FM) is a chronic musculoskeletal disease characterized by widespread pain in the body and increased tenderness in certain anatomical regions, accompanied by other symptoms such as fatigue, sleep disturbance, morning stiffness.1 Chronic pain in FM creates physical and emotional stress, so causes psychological problems and reduces quality of life.2
In the management of FM, the combination of pharmacological and non-pharmacological treatment methods with active participation of the person in the process is recommended.3 Exercise is an important part of non-pharmacological treatment approaches. The goal of exercise in the treatment of FM is to contribute to the person's functionality and quality of life by reducing pain and fatigue, increasing strength, flexibility and endurance. Exercise also causes healing effects in the emotional status by providing relaxation.4 Recent studies have shown that the use of clinical pilates exercises in individuals with fibromyalgia has become popular.5,6
Pilates was developed by Joseph Humbertus Pilates in the early 1900s and adapted to the clinic for therapeutic use by health professionals and called “Clinical Pilates”. Today, it is a popular exercise method which uses in both healthy and patient populations.8 Clinical Pilates exercises train the mind to consciously focus on controlling the movement and posture of the body. It aims to improve the relation between mind and body with active patient's participation.7,8 It also differs from other exercise types, as it includes breathing component.9 Pilates exercises can be applied in two methods as mat pilates and equipment pilates. Mat pilates exercises are performed on a mat while equipment pilates exercises are performed using special type of equipment such as reformer, cadillac, wunda chair, ladder barrel.7
The reformer is the most popular equipment among pilates equipment. It consists of springs which provide variable resistance, rollers, ropes and a sliding platform. Joseph Pilates believed that starting exercise on a moving/sliding horizontal plane and progressing other exercises which are added additional gravitational forces were important to reduce stress on the joints. Therefore, he designed the reformer which allows exercises can be applied on the horizontal plane.9,10 Exercises with reformer are performed against the resistance in the horizontal plane in which gravity is eliminated.11 Reformer exercises focus on maintaining of the neutral position and quality of body alignment and also exercises can be performed in different positions such as kneeling, side-lying, standing.9
Some studies indicated that pilates exercises, which are applied with a reformer machine, have positive effects on pain and balance in working women with chronic low back pain,12 on pain, function and kinesophobia in individuals with chronic low back pain,13,14 on balance, functionality, core stabilization, fatigue severity and quality of life in patients with multiple sclerosis.10
Although mat pilates has been shown to be an effective and safe treatment method to reduce symptoms in patients with fibromyalgia5,6,15–17 there have been no studies for the effects of reformer pilates in FM. In literature, it has been shown that mat pilates exercises for individuals with FM were often performed as the supervised program.
The aim of this study was to investigate the effects of reformer pilates exercises in FM on the number of painful regions, clinical status, lower extremity muscle strength, functional mobility, biopsychosocial status and quality of life and to compare with home mat pilates.
MethodIn our study, which was planned as a randomized controlled parallel-group, the effects of reformer pilates were evaluated by comparing with home mat pilates method. Assessments were carried out by the same physiotherapist (BBC). Reformer pilates exercises and home mat pilates program were performed by a certified in modified pilates and reformer pilates module 1 and experienced physiotherapist in the field of rheumatic patients (BCC). The study was planned as single-blind. The physiotherapist performing evaluation was blind to the study.
SubjectsA total of 28 volunteer women, who were monitored at the Rheumatology Clinic of Pamukkale University and diagnosed with FM according to the American College of Rheumatology (ACR) 2016 criteria by the same rheumatologist, were included in the study.
Reformer pilates group had 14 participants (age mean=40.71±10.81), home mat pilates group had 14 participants (age mean=50.50±7.25). Randomization was performed using SPSS (Version 21.0).
Demographic data of the participants were recorded before the evaluations. Demographic data are shown in Table 1.
Demographic and disease-related data of participants.
| Variables | Reformer pilates group (n=14) | Home mat pilates group (n=14) | p |
|---|---|---|---|
| M±SD | M±SD | ||
| Age (years) | 40.71±10.81 | 50.50±7.25 | 0.009** |
| Body weight (kg) | 66.07±11.21 | 73.71±10.74 | 0.077** |
| Height (cm) | 1.58±0.05 | 158.14±5.73 | 0.982* |
| BMI (kg/m2) | 26.47±4.46 | 29.47±3.94 | 0.070** |
| Duration of disease (month) | 27.07±35.31 | 49.79±59.94 | 0.678* |
| Year of education | 10.50±5.27 | 8.71±4.14 | 0.413* |
M, mean; SD, standard deviation.
The inclusion criteria were as follows: (a) having FM diagnosis according to ACR 2016 criteria, (b) aged 18–65, (c) being stable in drug use for at least 3 months or more, and (d) being a volunteer to participate in this study.
The exclusion criteria were as follows: (a) doing exercise regularly for the last 3 months, (b) having orthopedic and cardiopulmonary diseases which would prevent patients from doing exercise, concurrent autoimmune or inflammatory diseases, neurological disorders, unstable endocrine system diseases, malignancy, pregnancy and severe psychological diseases, (c) having undergone any surgery in the last 6 months and (d) having communication problems.
The data of participants whose drug treatment was change during the study and/or who could not attend treatment program regularly (more than 2 sessions) and whose after treatment evaluation was not performed were not included in this study and the treatment of the participant was terminated.
The ethics of the study was approved by the local Ethics Committee at the meeting dated 31.12.2018 and numbered 60116787-020/90546. All individuals were informed verbally and informed consent forms were signed.
AssessmentsAll individuals were evaluated by the same physiotherapist at baseline and at the end of the 6th week. The number of painful regions with Pain Location Inventory, clinical status with Fibromyalgia Impact Questionnaire (FIQ), lower extremity muscle strength with Chair Stand Test, functional mobility with The Timed Up and Go Test (TUG), biopsychosocial status with Cognitive Exercise Therapy Approach-Biopsychosocial Questionnaire (BETY-BQ) and quality of life with Short Form-36 (SF-36) were evaluated.
Pain Location InventoryParticipants mark the areas in which feel pain in the last seven days from the 28 parts of the body. The score is between 0 and 28. Higher scores indicate having more painful body regions.
Fibromyalgia Impact Questionnaire (FIQ)It is a questionnaire consisting of 10 questions which assess physical health, work status, depression, anxiety, sleep, pain, fatigue, stiffness and well-being in order to evaluate the health status and physical functionality of individuals with fibromyalgia. Higher scores indicate a lower functionality on disease.18
Chair Stand TestIn this test, which evaluates lower extremity muscle strength, participants sit and stand up as fast as possible for 30s in a standard chair which is an average height of 44cm and without back support and arm support. The number of repetitions which are completed was recorded.19
The Timed Up and Go Test (TUG)In this test, where functional mobility was evaluated, the evaluation was started while the participant was sitting in the chair. It recorded the time that a participant took to rise from a chair, walked 3m, turned around, walked back to the chair and sat down.20
Cognitive Exercise Therapy Approach-Biopsychosocial Questionnaire (BETY-BQ)This scale, which was developed in Turkish and consists of 30 items, was used to evaluate the disease-related biopsychosocial process. Higher scores indicate the bad biopsychosocial status of patients.21 The validity and reliability of this scale in FM was performed by Zahid ve Ünal in 2018.22
Short Form-36 (SF-36)This scale is one of the most commonly used questionnaires to assess the quality of life “100 points” indicate good health status and “0 points” indicate poor health status. The Turkish validity and reliability was performed by Kocyigit et al. in 1999.23
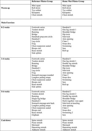
InterventionIn our study, pilates exercises were performed by a certified and experienced physiotherapist as two different methods in 2 times a week for 6 weeks. Before starting the treatment program, 5 key elements of clinical pilates exercises, which are breathing, focus and placement of the rib cage, shoulder, head and neck, were taught to all patients. Participants were encouraged to focus and maintain these 5 key elements during all exercises.
Reformer pilates groupAll participants were informed about the reformer machine and the treatment program by the physiotherapist. Reformer pilates exercises were applied in the form of general muscle strengthening and flexibility exercises at the same time in exercises under the same supervision of a physiotherapist. The duration of one session was 60min (warm-up exercises on the mat for 10min, reformer exercises for 40min and cool-down exercises on the mat for 10min). The exercises were started with 6–8 repetitions, increased to 1–2 repetitions each week and applied to be 12–15 repetitions in the last week. Changing the resistance of the springs according to exercise type and adding different positions were used for the progression of exercises. At the end of the second week and fourth week, the resistance of springs were changed. For participants who could not tolerate resistance, it progressed to a upper level the next week. Visualizations and verbal stimuli were used to do the exercises correctly during exercises. The importance of breathing control was emphasized and the necessity of exhaling in the difficult part of the movement was explained to the participants. When the participant made a mistake during the exercises, the exercise was not interrupted. The physiotherapist showed how to do exercises correctly, then the participant repeated it. In this way, it was aimed to increase the body awareness of the participants.
Home mat pilates groupIn this group, clinical pilates exercises were applied as a home program. Brochures and exercise follow-up forms, which illustrated and written all the exercises in this program, which consisted of clinical pilates-based general muscle strength and flexibility exercises, were given to all participants. Each exercise in the program was shown by the same physiotherapist, who applied the reformer pilates exercises, on the participants themselves. The program consisted of 10min warm-up exercises, clinical pilates-based exercises on mat for 40min and 10min cool-down exercises. When participants performed the exercises on the mat at home, they marked the follow-up form. Thus, compliance with the home program was supported. The exercises were started with 6–8 repetitions, increased to 1–2 repetitions each week and applied to be 12–15 repetitions in the last week. Attendance of participants to exercise was checked by phone calls every weekend and asked to mark the exercise follow-up form when they did the exercises. During phone calls, they were asked to report which day they did exercises.
Fig. 1 shows the details of the intervention program for both group.
Statistical analysisData were assessed using SPSS (Version 21.0). As a result of the power analysis, it was calculated that for the d=1 effect size15 when 28 patients were taken to this study (14 patients in each group), 80% power with 95% confidence would be obtained. Continuous variables were stated as average, standard deviation and percentage. When parametric test assumptions were provided the Independent Samples Test was used, when parametric test assumptions were not provided Mann–Whitney U test was used to compare the differences between the independent groups. When parametric test assumptions were provided, the Paired Simple T test was used, when parametric test assumptions were not provided, Wilcoxon signed-rank test was used to compare the differences between the dependent groups. p-Value <0.05 was considered as statistically significant.
ResultsAt first, 39 individuals with fibromyalgia were evaluated. One participant who did not meet the inclusion criteria was excluded from the study and 38 volunteer participants were randomly divided into two groups as reformer Pilates group (n=19) and home mat pilates group (n=19) with SPSS 21.0 package program. In reformer group, 2 people discontinued the training because of health problems (one with flu and one with falling down the stair), 2 people wanted to leave from study voluntarily and 1 person did not continue the program regularly. In home mat pilates group, 3 people did not do exercise regularly and 2 people did not attend the post-treatment assessment so all these patient's data were excluded. This study was completed with a total of 28 participants as 14 women (age mean=40.71±10.81 years) in reformer pilates group, 14 women (age mean=50.50±7.25 years) in home mat pilates group. Fig. 2 shows a flow chart of the study design. There were no adverse events reported during evaluations and training. Demographic and disease-related data of both groups are shown in Table 1.
Comparisons of the evaluation parameters before and after treatment within groupsWhen after treatment data were compared with baseline, reformer group showed significant improvement in FIQ (p=0.016) and chair stand test (p=0.022) while home mat pilates group showed significant improvement in PLI (p=0.007), FIQ (p=0.000), BETY-BQ (p=0.018) and SF-36 Physical Component (p=0.043). There was no statistical difference in SF-36 Mental Component and TUG in both groups (p>0.05) (Table 2).
The comparison of pre and post treatmant results with groups.
| Variables | Reformer pilates group (n=14) | Home mat pilates group (n=14) | ||||
|---|---|---|---|---|---|---|
| Pre | Post | p | Pre | Post | p | |
| Mean±SD | Mean±SD | Mean±SD | Mean±SD | |||
| PLI | 12.86±7.09 | 9.85±6.61 | 0.054** | 16.57±5.52 | 10.07±9.25 | 0.007** |
| FIQ | 51.36±17.84 | 39.04±17.11 | 0.007** | 66.9±17.81 | 49.26±20.18 | 0.000** |
| SF-36 physical component | 186.78±89.73 | 216.07±79.44 | 0.294** | 160.53±79.91 | 213.75±69.57 | 0.043** |
| SF-36 mental component | 196.32±78.36 | 205.55±98.77 | 0.568** | 170.23±64.08 | 185.42±79.57 | 0.531** |
| BETY-BQ | 41.07±26.11 | 38.50±28.62 | 0.330* | 61.35±29.7 | 47.78±25.29 | 0.018** |
| Chair test | 9.92±2.58 | 11.57±3.39 | 0.022** | 11.35±6.1 | 10.0±1.7 | 0.968* |
| TUG | 9.38±1.14 | 9.19±1.46 | 0.614** | 9.16±1.9 | 9.55±1.76 | 0.543** |
M: mean, SD: standard deviation.
Bold value indicates p<0.05.
PLI: Pain Location Inventory, FIQ: Fibromyalgia Impact Questionnaire, SF-36: Short Form Questionnaire, BETY-BQ: Cognitive Exercise Therapy Approach-Biopsychosocial Questionnaire, TUG: The Timed Up and Go Test
The difference values of the participant's after and before treatment data were calculated as delta. When delta values were compared, both groups showed similar results. There was no statistical difference between the two groups (p>0.05, Table 3).
Comparisons of delta values between groups.
| Variables | Reformer pilates group (n=14) | Home mat pilates group (n=14) | p |
|---|---|---|---|
| Δ Mean±SD | Δ Mean±SD | ||
| PLI | −3.00±5.30 | −6.50±7.55 | 0.168** |
| FIQ | −12.31±14.51 | −17.63±13.7 | 0.328** |
| SF-36 physical component | 29.28±100.11 | 53.21±88.72 | 0.509** |
| SF-36 mental component | 9.22±58.91 | 15.19±88.42 | 0.835** |
| BETY-BQ | −2.57±18.88 | −13.57±18.77 | 0.134** |
| Chair test | 1.64±2.37 | −1.35±6.14 | 0.119* |
| TUG | −0.19±1.41 | 0.39±2.38 | 0.431** |
M: mean; SD: standard deviation; Δ: after treatment results−before treatment results.
PLI: Pain Location Inventory, FIQ: Fibromyalgia Impact Questionnaire, SF-36: Short Form Questionnaire, BETY-BQ: Cognitive Exercise Therapy Approach-Biopsychosocial Questionnaire, TUG: The Timed Up and Go Test.
In our study, reformer pilates and home mat pilates methods were compared in patients with FM. Our results have shown that reformer pilates exercises improved clinical status and increased lower extremity muscle strength while home mat pilates exercises improved the number of painful regions and clinical status, biopsychosocial status and quality of life. However, when compared two groups in terms of delta value similar results were obtained and it was seen that they were not superior to each other. Therefore, it may be useful considering the improvements in different parameters for help designing treatment programs to clinicians.
Our study is the first study in which reformer pilates exercises are performed in patients with fibromyalgia.
There has been little research on the effectiveness of reformer pilates in patient population and healthy individuals also only one research in which reformer pilates exercises are performed on rheumatic diseases. In the literature, reformer and other pilates equipment were often applied together under the name of apparatus pilates. Mendonça et al.24 reported that mat pilates and apparatus pilates exercises including reformer were more effective on pain, disability and range of motion than conventional treatment program and also apparatus pilates had a greater effect on the quality of life than conventional method in children with Juvenile Idiopathic Arthritis. Besides rheumatic diseases, Alves de Araujo et al.25 reported that mat pilates exercises and apparatus pilates exercises including reformer for three months had positive effects on cobb angle, pain and trunk flexion angle in children with non-structural scoliosis. Luciano de Araujo et al.26 showed that pilates exercises applying mat and apparatus pilates were more effective on pain, function and quality of life in patients with chronic mechanical neck pain than those who received only pharmacological treatment.
In a study which was compared the effect of mat and equipment pilates in patients with chronic low back pain, it was reported that equipment pilates exercises including reformer machine were superior to mat pilates exercises on disability and kinesiophobia.27 We found that both reformer and home mat pilates exercises were effective to reduce disability in individuals with FM but did not have superiority to each other. Therefore, both pilates exercises are safe treatment methods for individuals with FM.
Mat and reformer pilates exercises were found to be more effective on balance, functional mobility, core stabilization, fatigue severity and quality of life than home exercises program including breathing and relaxation exercises, while reformer pilates exercises were found to be more effective in improving trunk flexion strength than mat pilates exercises in patients with multiple sclerosis.10 According to our results, reformer pilates exercises were found to be superior on lower extremity muscle strength than home mat pilates exercises program. Individuals with FM may have problems adapting to exercise due to pain, fatigue and tenderness after exercise.28 We believe that starting exercise on a horizontal plane in which the gravitational force is eliminated reduces stress on the joints, helps to move easier during exercise, increases the patient's adaptation to exercise and provides favorable conditions for improving muscle strength in this group of patients who have tenderness. Unlike mat pilates, the resistance could be started from low level by using springs in reformer exercises instead of the participant's own body weight for strength, so that the participant could tolerate exercises more easily. Furthermore, reformer pilates reduced the possibility of any adverse effect as the progression of resistance was made controlled.
Lee et al.12 reported that mat pilates had a greater effect on pain and static balance compared to equipment pilates in women with chronic low back pain. Cruz-Diaz et al.13 showed that reformer and mat pilates had positive effects on pain, function and transversus abdominis activation, but reformer pilates provided faster improvement than mat pilates. We also observed that home mat pilates exercises are more effective than reformer pilates in terms of pain reduction in individuals with FM. In addition, home mat pilates exercises had more positive effects on participants’ biopsychosocial status and quality of life. Pain and negative mood can lead to avoidance of activity by creating a vicious cycle. Home mat pilates exercises have helped to reduce the number of painful regions and this reduction in pain has supported the biopsychosocial improvement by overcoming the individual's fear of movement and increasing their participation in life.
In literature for individuals with fibromyalgia, it was seen that home exercises program, which was given to the control group, included stretching and flexibility exercises, relaxation exercises, range of motion exercises, strengthening and aerobic exercises.29,30 Unlike these studies, the key elements of clinical pilates and clinical pilates exercises were taught to participants in home exercises group and were asked to do exercises with their own body weight against gravity on mat at home.
The reformer pilates is more expensive method than mat pilates because it requires a special tool. Individuals need to go to wellness center or gym in order to exercise with reformer. This situation may be a financial burden for the person.10 Also reformer pilates exercises can create a financial burden for individuals with FM because fibromyalgia, which is involved in rheumatic diseases, requires long-term follow-up and treatment. When considering the beneficial effects of the clinical pilates-based home program, it is seen to be more cost-effective method than reformer pilates. In addition,home pilates exercises may have contributed to adaptation for exercise in home pilates group faster than the reformer pilates, since it is performed in a familiar environment where the person lives. However, the proper form of clinical pilates exercises execution is crucial when performed in patient population such as FM. Although verbal feedback, imagery and corrections were used during supervised reformer exercises, these elements were not used in the unsupervised home group, but before the treatment, home mat pilates group was trained about the basics of clinical pilates and the key elements, points to be considered during the exercises. The exercise program was planned in this way. Besides, it was important that there were improvements in various parameters and no adverse events in home group.
The average age was higher in home mat pilates group than reformer pilates group. Despite the disadvantages of old age, home mat pilates exercises have turned these disadvantages into advantages. Therefore, we believe that home mat pilates exercises are more appropriate approach for individuals with FM.
Our study is the first research which examined the effectiveness of reformer pilates exercises in individuals with FM. This is the strength of our study. Our limitation was the difference between the groups in terms of age at baseline because of using no stratified randomization technique. Other limitation was the lack of long-term follow-up. In the future, studies including longer-term exercise programs, follow-ups, using reformer and mat exercises together, and even three-arm comparisons with reformer, mat and both methods may be useful in evaluating the effect of pilates in individuals with fibromyalgia.
ConclusionsReformer pilates and home mat pilates exercises can be used as an effective and safe treatment method in coping with clinical status and symptoms in fibromyalgia. We recommend pilates exercises in individuals with FM to reduce pain, increase functionality and improve biopsychosocial status by increasing the person's participation in daily life. Patient's needs and wishes, adaptation to exercise,cost and accessibility of treatment should be considered in determining the treatment method.
We suggest that reformer method for clinical pilates exercise in FM patients who have muscle weakness and adaptation problem to exercise while home exercises with clinical pilates-based mat method in those who have pain and biopsychosocial problems.
Clinical relevanceReformer pilates exercises had positive effects on clinical status and muscle strength.
Home mat pilates exercises had positive effects on the number of painful regions, clinical status, biopsychosocial status and physical component quality of life.
Authors’ contributionsBerna Cagla Caglayan: Investigation, Writing – Original Draft Preparation. Bilge Basakcı Calık: Conceptualization, Methodology, Writing – Review and Editing. Elif Gur Kabul: Investigation. Analysis. Ugur Karasu: Investigation, Supervision
Ethical approvalApproval for the study was granted by the Ethics Committee for Non-Interventional Clinical Research of Pamukkale University. All procedures were conducted according to the principles of the Declaration of Helsinki.
FundingThis research was supported by an Pamukkale University Scientific Research Projects Coordination Unit number of 2019SABE011.
Conflict of interestThe authors declare no potential conflicts of interest with respect to the authorship and/or publication of this article.





